ir al contenido

⚠️¡Alerta máxima en Quintana Roo! ????

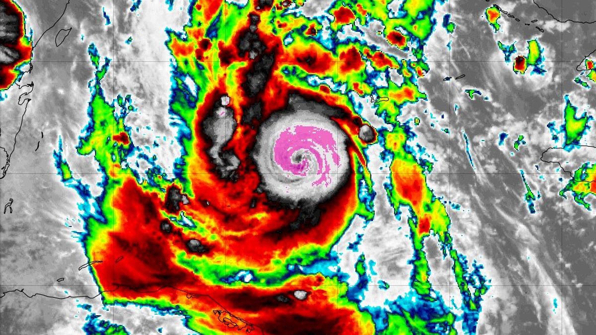
El Huracán Delta está catalogado como potencialmente catastrófico para los estados de Quintana Roo y Yucatán, por lo que se pide a la población estar muy atentos y resguardarse.

Hasta esta mañana, Delta es categoría 4 con vientos de 215 km/h y rachas de más de 260 km/h. Expertos mencionan que de seguir la tendencia, tocaría tierra en la zona de Cancún, Cozumel y Playa del Carmen como Categoría 5 la madrugada del miércoles.

Más reciente