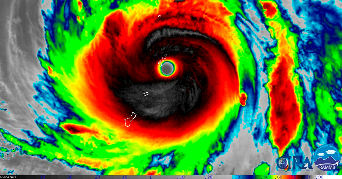
Mientras en México el ciclón tropical “Willa” dejó estragos en Sinaloa y Nayarit y en estos momentos continúa con fuertes lluvias siendo una baja presión remanente, del otro lado del mundo, el Super Tifón Yutu con rachas de viento de hasta 352 km/ h, amenaza territorios estadounidenses como las Islas Marianas del Norte y Guam, para después emprender camino hacia el mar de Filipinas.
El meteorólogo Ryan Maue de weathermodels.com tuiteó que Yutu sería una “Categoría 6 si la escala del Atlántico fuera extrapolada”.
Es probable que “Yutu” se ubique este 2018 entre las tormentas más intensas jamás registradas.
